Mapping Antarctica and the Arctic

A man standing on top of a snow covered mountain

If you’re working in the polar regions, you need reliable maps. From navigating sea ice to planning field camps, from studying penguin colonies to understanding ice sheet changes — geospatial data makes polar science possible.

British Antarctic Survey’s Mapping and Geographic Information Centre (MAGIC) provides the maps, satellite imagery, and location data that support UK polar research and operations.

Want to know how we map Antarctica?

Laura Gerrish from our MAGIC team explains the unique challenges of mapping the polar regions — from changing coastlines to working with satellite data in extreme conditions.

By ensuring expedition teams have access to up-to-date maps, MAGIC helps them plan their scientific research and stay safe in the remotest parts of the world.

What we offer

Maps and geospatial data

We create and maintain accurate maps of Antarctica and the Arctic. Our maps show coastlines, mountains, glaciers, research stations, and other features essential for polar work.

You can:

  • Browse our map catalogue online
  • Download digital maps for your research
  • Request custom maps for specific areas
  • Access historical mapping datasets

Explore the BAS map catalogue

Satellite imagery and monitoring

Satellites give us a bird’s-eye view of the polar regions. We process satellite images to track changes in ice, monitor wildlife, and support navigation.

Recent examples:

  • Counting emperor penguin colonies from space
  • Tracking massive icebergs as they drift
  • Monitoring vegetation growth on the Antarctic Peninsula
  • Providing sea ice information for ship safety

Geospatial support for field operations

Planning to work in Antarctica or the Arctic? We provide mapping and location data to help you work safely and effectively.

We support:

  • Field camp planning and site selection
  • GPS data collection and processing
  • Aerial surveys using drones and aircraft
  • 3D terrain modeling

Data and analysis tools

Our geospatial database stores detailed information about Antarctica and the Arctic. Scientists use this data to answer research questions and plan expeditions.

Available resources:

  • Antarctic Digital Database (coastlines, place names, contours)
  • Historical mapping datasets
  • Satellite image archives
  • Online mapping tools

Access geospatial data

Key services

For researchers

Antarctic Digital Database

The SCAR ADD is a seamless compilation of topographic data for Antarctica to 60°S. It is the place to go to get data such as Antarctic coastline or contours for working in desktop GIS.

Map.

Wildlife from Space

Many populations of wildlife are remote, inaccessible or difficult to monitor. The advent of sub-metre, Very-High-Resolution (VHR) satellite imagery has enabled us study these animals in a much more efficient way.

A fish swimming under water.

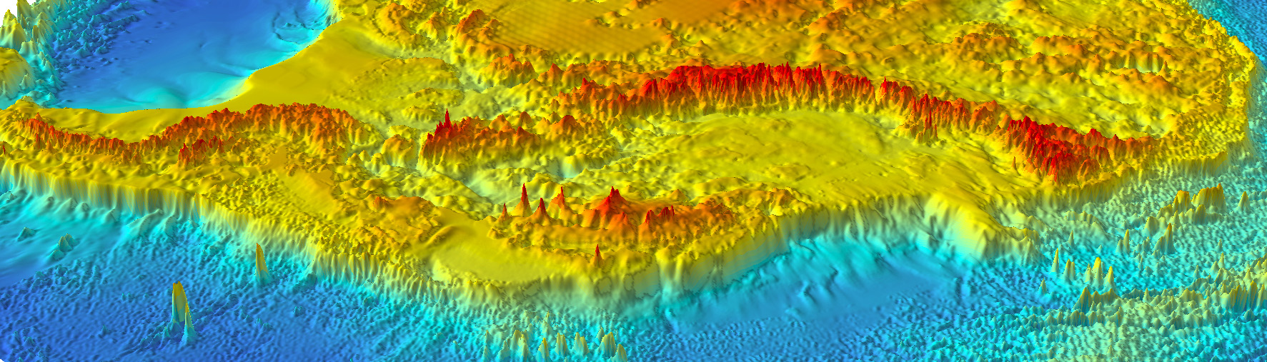
Bedmap

Bedmap is a collaborative community that has produced maps and datasets of Antarctic ice thickness and bed topography

For operations

Assets Tracking Service

The Assets Tracking Service shows where British Antarctic Survey ships, aircraft and vehicles are at any given time.

Assets Tracking Service logo

Polar View

Polar View delivers information about sea ice direct to ships operating in the Southern Ocean.

For everyone

Map Catalogue Browse and download freely available polar maps. Many historical maps are now accessible to the public for the first time. Our collection includes topographic maps, geological maps, and thematic mapping products.

Technologies we use

We combine traditional surveying methods with cutting-edge technology:

Satellite imagery — Monitoring changes across vast polar regions

GPS and positioning — Accurate location data for maps and fieldwork

Laser scanning — Creating detailed 3D models of terrain

Drones and aircraft — Collecting high-resolution imagery and data

Geographic Information Systems (GIS) — Analyzing and visualizing spatial data

Our impact

The work of the Mapping and Geographic Information Centre supports:

  • Science — Providing essential data for polar research projects
  • Operations — Keeping people and equipment safe in extreme environments
  • Conservation — Monitoring wildlife and environmental changes
  • Policy — Informing decisions about Antarctic place names and territorial management
  • Public understanding — Making polar regions accessible through maps and imagery

Frequently Asked Questions

Can I use BAS maps in my publication?

Yes. Most of our maps are freely available. Check individual map licenses for attribution requirements.

How often are maps updated?

The Antarctic Digital Database is updated several times per year as new data becomes available.

Do you create maps for other organisations?

We primarily support BAS and UK polar activities, but collaborate with international partners on major mapping projects.

Can you map my specific research area?

Contact us to discuss your needs. We may be able to provide custom mapping support for BAS-affiliated projects. magic@bas.ac.uk

Where can I buy printed maps?

Several specialist retailers stock polar maps, including Stanfords, the UK Antarctic Heritage Trust, and NHBS.